Bebauungsplan "Kita Wiedheck"

Der Rat der Landeshauptstadt Saarbrücken hat in seiner Sitzung am 16. April 2019 die öffentliche Auslegung des Bebauungsplanes Nr. 452.08.00 „Kita Wiedheck“ gemäß § 3 Abs. 2 Baugesetzbuch beschlossen.

1

BBP_452.08.00_Stadtübersicht - LHS

BBP_452.08.00_Stadtübersicht - LHS

BBP_452.08.00_Stadtübersicht - LHS

Aushang der Planunterlagen sowie zugehöriger Gutachten

Der Bebauungsplanentwurf, der Entwurf der Begründung und alle zugehörigen Gutachten lagen in der Zeit vom 2. Mai 2019 bis einschließlich 7. Juni 2019 im Stadtplanungsamt der Stadt Saarbrücken, Diskonto-Hochhaus, Bahnhofstraße 31, 9. Etage vor Zimmer 924 während der Öffnungszeiten öffentlich aus.

Während der Auslegungsfrist konnten schriftliche Äußerungen und Rückfragen zu den Planungen an die Landeshauptstadt Saarbrücken gerichtet werden. Stellungnahmen konnten auch am vorgenannten Ort zu Protokoll gegeben und in Zimmer 827 abgegeben werden.

Nicht fristgerecht abgegebene Stellungnahmen können bei der Beschlussfassung über den Bebauungsplan unberücksichtigt bleiben.

Ziele der Planung

1

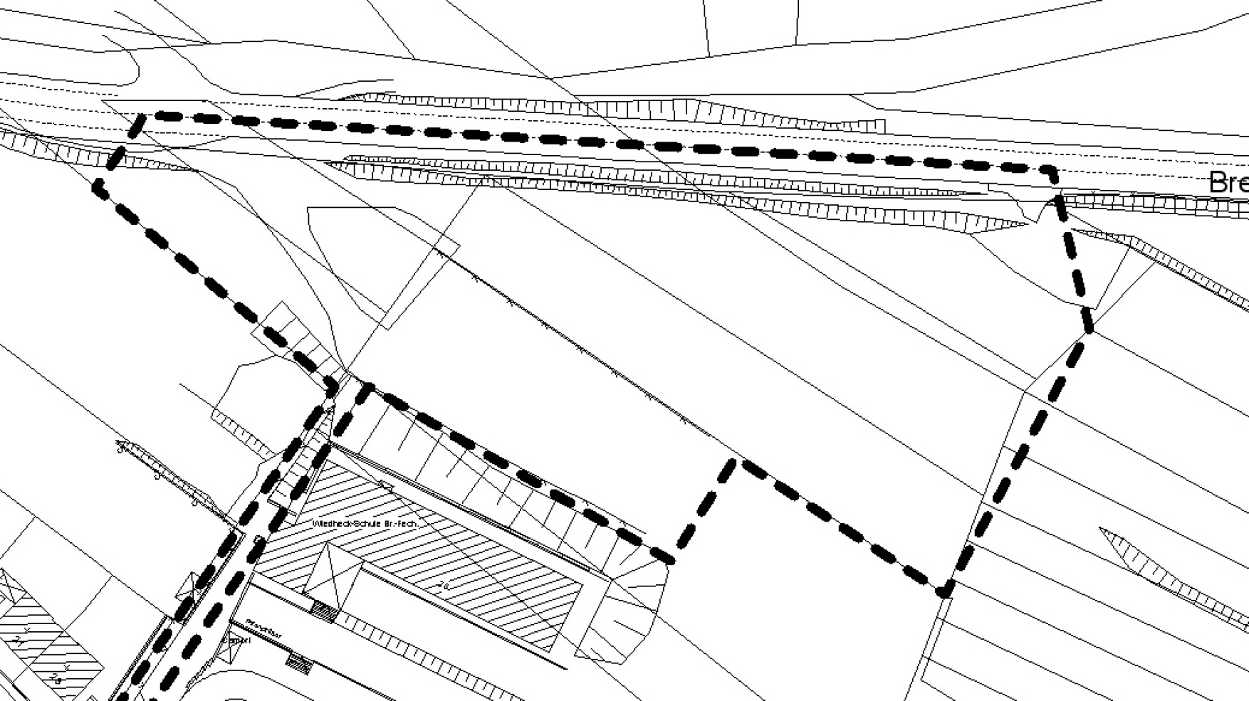
BBP_452.08.00_Geltungsbereich - LHS

BBP_452.08.00_Geltungsbereich - LHS

BBP_452.08.00_Geltungsbereich - LHS

Das Ausbauprogramm für Kita- und Krippenplätze sieht mehrere neue Standorte im gesamten Stadtgebiet vor, einer davon im Stadtteil Brebach-Fechingen in unmittelbarer Nachbarschaft zur Wiedheckschule. Hier sollen vier Kindergarten und drei Krippengruppen entstehen, in denen auf Grundlage des europäischen interreg-Förderprogramms sowohl deutsche als auch französische Kinder betreut werden. Daher wurde mit dem aktuellen Geltungsbereich ein Kita-Standort gewählt, der sowohl im Bedarfsschwerpunkt Saarbrücken als auch günstig für Pendler aus Saargemünd liegt.

Weiterhin soll das Kita-Grundstück auch für den nicht motorisierten Verkehr erschlossen werden. Hierfür sollen zwei neue Wegeverbindungen entlang des Mühlenwegs und von der Peter-und-Paul-Straße zum Mühlenweg angelegt werden. Außerdem soll eine neue Bushaltestelle in Höhe der Kita-Zufahrt realisiert werden.

Neben dem Kita-Gelände sollen zusätzliche Parkmöglichkeiten für die Lehrer der Schule sowie eine Alternative für Bring- und Abholdienst zur Entlastung der Verkehrssituation des Wohngebiets nahe der Schule geschaffen werden.

Lage des Plangebietes

1

BBP_452.08.00_Luftaufnahme - LHS

BBP_452.08.00_Luftaufnahme - LHS

BBP_452.08.00_Luftaufnahme - LHS

Anpassung Geltungsbereich

Die im Aufstellungsbeschluss definierten Grenzen wurden im Rahmen der Entwurfserstellung für die Kita angepasst und entsprechend der konkreten Anforderungen vergrößert.

Die Grenzen des Bebauungsplanes verlaufen wie folgt:

  • Im Norden: durch den Mühlenweg bzw. in dessen Verlängerung, durch die Brebacher Straße
  • Im Osten: durch eine Linie von der Brebacher Straße zum südwestlichen Eckpunkt des Flurstücks 202/17 (alle Flurstücksangaben beziehen sich auf Flur 7 in der Gemarkung Fechingen), in einer Linie bis zum westlichen Rand des Flurstücks 95, in einer Weiterführung nach Westen entlang der Böschungskrone oberhalb des Schulgebäudes, eine Verbindungslinie zur Peter-und-Paul-Straße im Abstand von 5m zur Grenze des Schulgrundstücks
  • Im Süden: durch die Peter-und-Paul-Straße
  • Im Westen: durch die westliche Begrenzung der städtischen Wegeparzelle 17/13, (alle Flurstücksangaben beziehen sich auf Flur 6 in der Gemarkung Fechingen) deren Verlängerung bis zum Flurstück 11/3, eine auf der östlichen Begrenzung der Privatparzelle 11/3 verlaufenden Linie und die Verbindungslinie zum Mühlenweg auf der Grenze zwischen Flurstück 11/3 und 426/10

Die Abgrenzung des angepassten Geltungsbereichs ist dem unten stehenden Übersichtsplan zu entnehmen.

Beschlussfolge:

Aufstellungsbeschluss: 27. Juni 2017

Offenlagebeschluss: 16. April 2019

Stadtplanungsamt

Bahnhofstraße 31
66111 Saarbrücken

Telefon: +49 681 905-4078
Fax: +49 681 905-4155

E-Mail: stadtplanungsamt@saarbruecken.de

Öffnungszeiten

Montag - Mittwoch
9 bis 12 Uhr
und 13.30 bis 15.30 Uhr

Donnerstag
8 bis 18 Uhr

Freitag
9 bis 12 Uhr

» Route berechnen

Ein Smartphones mit einem Map Marker, der auf eine Karte zeigt.

Mit dem Öffnen der Karte akzeptieren Sie die Google-Nutzungsbedingungen und das Setzen von Google-Cookies.

Mehr Infos: Datenschutzerklärung