Download
image/png - ca. 52,36 KB
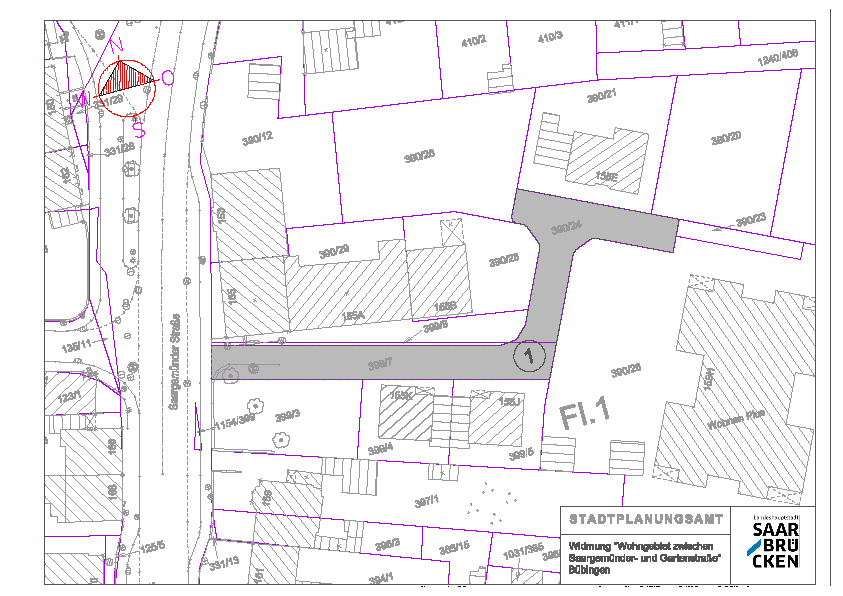
Namens der Landeshauptstadt Saarbrücken als Trägerin der Straßenbaulast widme ich hiermit gemäß § 6 des Saarländischen Straßengesetzes vom 17. Dezember 1964 in der Fassung der Bekanntmachung vom 15. Oktober 1977 (Amtsbl. S. 969), zuletzt geändert durch Artikel 6 Abs. 8 Verwaltungsstrukturreformgesetz vom 21. November 2007 (Amtsbl. S. 2393) die Flächen des Bebauungsplanes Nr. 481.15.00 „Wohngebiet zwischen Saargemünder Straße und Gartenstraße“ in der Gemarkung Bübingen, Flur 1, Flurstücks-Nrn. 390/24 und 399/7 (im Lageplan grau hinterlegt)
das Teilstück der Saargemünder Straße (Nr. 1 im Lageplan) im Rahmen der geltenden straßenver-kehrsrechtlichen Vorschriften innerhalb der verkehrsüblichen Grenzen uneingeschränkt dem Gebrauch durch jedermann für den Fahrzeug- bzw. Fußgängerverkehr als Gemeindestraße mit der Benutzungsart „Verkehrsberuhigter Bereich“.
Eine genaue Planunterlage kann bei der Landeshauptstadt Saarbrücken, Amt für Straßenbau und Verkehrsinfrastruktur, Bahnhofstraße 31 (Diskonto-Hochhaus), während der Dienstzeiten, nach vorheriger Terminvereinbarung (Tel. 0681 905 4104 oder strassenamt@saarbruecken.de) eingesehen werden.
Gemäß § 41 Abs. 4 Satz 4 Saarländisches Verwaltungsverfahrensgesetz gilt dieser Verwaltungsakt am Tage nach der öffentlichen Bekanntmachung als bekannt gegeben.
Anordnung der sofortigen Vollziehung gemäß § 80 Abs. 2 Nr. 4 der Verwaltungsgerichtsordnung (VwGO) in der Fassung der Bekanntmachung vom 19.03.1991 (BGBI. I Seite 686) zuletzt geändert durch Art. 181 V v. 19.6.2020 I 1328.
Auf Grund des § 80 Absatz 2 Nr. 4 der Verwaltungsgerichtsordnung (VwGO) wird die sofortige Vollziehung die-ser Widmungsverfügung im öffentlichen Interesse angeordnet.
Die Erschließungsstraße „Saargemünder Straße“ wird in ihrer Eigenschaft als Straßenverkehrsfläche genutzt. Nach der Erschließung dieser Straße und der nunmehr erfolgten formellen Widmung besteht ein öffentliches Interesse daran, diese Straßenverkehrsfläche unverzüglich dem Gemeingebrauch, insbesondere aber den Anliegern, zur Verfügung zu stellen. Dadurch soll eine ungehinderte Benutzung der öffentlichen Verkehrsanlagen gewährleistet werden, auch um im Interesse des allgemeinen Wohls sicherzustellen, dass die verkehrsmäßige Benutzung der Straße für jedermann gestattet und die Sicherheit und Leichtigkeit des Verkehrs gewährleistet ist.
Rechtsbehelfsbelehrung
Gegen diesen Verwaltungsakt kann innerhalb eines Monates nach Bekanntgabe Widerspruch bei der Landeshauptstadt Saarbrücken, Rathausplatz 1, 66111 Saarbrücken erhoben werden.
Öffnungszeiten:
Amt für Straßenbau und Verkehrsinfrastruktur:
Mo.-Mi.8.30-12.00 Uhr und 13.30-15.30 Uhr, Do. 8.00-18.00 Uhr, Fr. 8.30-12.00 Uhr
Saarbrücken, den 04.05.2022
Der Oberbürgermeister
Uwe Conradt
image/png - ca. 52,36 KB